CARTER EUROPEAN K9 TRAINING BASE *21. 2. 2016

BH

Owner: Tyler Forke, USA



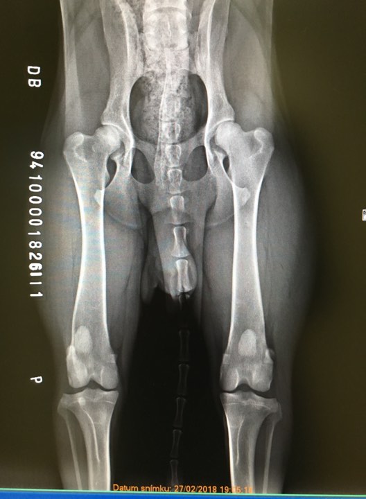
X-ray of HD is HERE, X-ray of ED is HERE

cardio - clear



Carter Carter


Pedigree:


Ataraxie's Erwin
IPO 3, ZTP Sg 1A, HD A, vWD-clear, dilute D/D, cardio neg.
Axel von Schattenjäger
BH, ZTP Sg 1A, HD B, vWD-carrier, dilute D/d
Bingo vom Haus Astegg
IPO 3, SchH 3, part. IDC WM, HD A
Onan van de Kusthoeve
IPO 3, SchH 3, FH 1, ZTP Sg 1A, HD A
Bella vom Westerberg
IPO 3, SchH 3, FH 1, ZTP, HD A
Valentina von Warringhof
IPO 1, HD A
Quando von Warringhof
SchH 2, ZTP Sg 1A, HD A
Jotunheim's Brattah
IPO 3, SchH 3, ZTP Sg 1B, HD A
MC Performance Claudette
IPO 3, SchH 3, ZTP V 1A, HD A, vWD-clear, cardio neg.
Goliath von der Krillenburg
BH, ZTP, HD A
Jerry von der Burg Litermont
SchH 1, ZTP
Jotunheim's Hergerd
SchH 3
Maggie von der Krillenburg
BH, HD A
Puma von der Mooreiche
SchH 3, ZVA Körung 2A, HD A
Odett von der Schwellenburg
SchH 1, ZTP, HD A
Aero European K9 training base
IPO 3, ZTP Sg 1A, HD A, cardio neg.
Arak-Amaruk du Feu d'Aramon
IPO 3, part. IDC WM, ZVA Körung 2A, HD B
Irinland Eros Erato
IPO 1, ZTP V 1A, HD A
Jivago van het Wantij
IPO 3, ZVA Körung 1A, HD A
Irinland Zena Zefyu
SchH 1, HD A
Dschinn Dari Palomino Bonito
ZTP
Alex Black Sagitta
IPO 3, SchH 3, ZVV 2, part. IDC WM, ZVA Körung 2A, HD A
Annaly Palomino
IPO 2, SchH 1, HD A
Alexa Sheridano Le Fano
IPO 3, SchH 3, ZVV 1, part. IDC WM, ZVA Körung 2A, HD A, cardio neg.
Cliff vom Beuchower Hof
IPO 3, part. IDC WM, Körung, HD A
Noran les Deux Peupliers
IPO 3, SchH 3, ZVA Körung 1A, HD A
Andra vom Beuchower Hof
BH, ZTP Sg 1B, HD A
Fergie Calibra Magic
IPO 3, part. IDC WM, ZTP V 1A, HD A
Drink Zkanape
ZVV 1, ZTP V 1A, HD A
Gina Gold Micer
IPO 3, HD A


























 © International dog school K9 :: Design: Lucie Skopalová :: Webmaster: Sarah J Beck